testata Forum Natura Mediterraneo
Forum | Registrati | Msg attivi | Msg Recenti | Msg Pvt | Utenti | Galleria | Map | Gadgets | Cerca | | FAQ | Regole |NUOVA Tassonomia | Pagina Facebook di Natura Mediterraneo | Google+
Suggerimento: Conosci la funzione scorciatoia? Clicca qui!
Cerca
Salva
Password dimenticata

 Galleria Tassonomica
 di Natura Mediterraneo
 



 Tutti i Forum
 Forum Animali - Natura Mediterraneo
   ACARI, SCORPIONI E RAGNI
 Araneae
 Ebrechtella tricuspidata
 Nuova Discussione
 Versione Stampabile my nm Leggi più tardi
I seguenti utenti stanno leggendo questo Forum Qui c'è:
Autore Discussione Precedente Discussione Discussione Successiva  

andreaEanto
Utente Senior


Città: Parma
Prov.: Parma


1404 Messaggi
Tutti i Forum

Inserito il - 28 settembre 2008 : 15:51:27 Mostra Profilo  Apri la Finestra di Tassonomia

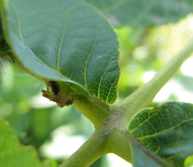
Classe: Arachnida Ordine: Araneae Famiglia: Thomisidae Genere: Ebrechtella Specie:Ebrechtella tricuspidata
Ciao a tutti,
su un albero di noce questa Domenica mattina ho trovato una gran bella sorpresa, è Misumenops tricuspidatus giusto?

Andrea


Immagine:
Ebrechtella tricuspidata
279,29 KB


Immagine:
Ebrechtella tricuspidata
294,83 KB


Immagine:
Ebrechtella tricuspidata
241,39 KB

Modificato da - Henry in Data 30 settembre 2008 00:40:00

Henry
Moderatore

Città: Cervignano del Friuli
Prov.: Udine

Regione: Friuli-Venezia Giulia


1269 Messaggi
Flora e Fauna

Inserito il - 28 settembre 2008 : 16:18:08 Mostra Profilo Apri la Finestra di Tassonomia
Sì esatto, solo che la nomenclatura è cambiata ()
Ora è Ebrechtella tricuspidata.

Questo dovrebbe essere un maschio.

Mandi..!
Torna all'inizio della Pagina

andreaEanto
Utente Senior


Città: Parma
Prov.: Parma


1404 Messaggi
Tutti i Forum

Inserito il - 28 settembre 2008 : 16:22:00 Mostra Profilo Apri la Finestra di Tassonomia
Grazie Henry,
svelami però dove bazzicare per gli aggiornamenti perchè io ho poco materiale su cui guardare.

Andrea
Torna all'inizio della Pagina

Henry
Moderatore

Città: Cervignano del Friuli
Prov.: Udine

Regione: Friuli-Venezia Giulia


1269 Messaggi
Flora e Fauna

Inserito il - 28 settembre 2008 : 16:24:40 Mostra Profilo Apri la Finestra di Tassonomia
Guarda, ogni tanto controllo sul Platnick.. è veramente un casino, i nomi cambiano in continuazione..

Mandi..!
Torna all'inizio della Pagina

Juventino
Utente Super

Città: Nizza

Regione: France


10135 Messaggi
Tutti i Forum

Inserito il - 28 settembre 2008 : 16:49:17 Mostra Profilo Apri la Finestra di Tassonomia
Per favore cosè Platnik???
Ciao!!

Link
L’école buissonnière
Torna all'inizio della Pagina

andreaEanto
Utente Senior


Città: Parma
Prov.: Parma


1404 Messaggi
Tutti i Forum

Inserito il - 28 settembre 2008 : 16:55:17 Mostra Profilo Apri la Finestra di Tassonomia
Trovi il collegamento alla discussione n° 7 di Piergy
"In rilievo:The World Spider Catalog - Platnick "

Ciao Andrea
Torna all'inizio della Pagina

clido
Moderatore


Città: Portici
Prov.: Napoli

Regione: Campania


8977 Messaggi
Flora e Fauna

Inserito il - 29 settembre 2008 : 10:28:32 Mostra Profilo Apri la Finestra di Tassonomia
Messaggio originario di Juventino:

Per favore cosè Platnik???
...


Messaggio originario di andreaEanto:

Trovi il collegamento alla discussione n° 7 di Piergy
"In rilievo:The World Spider Catalog - Platnick "
...


Aggiungo qui il link del post in rilievo di Henry, a cui fa riferimento Andrea


___________________________
Buona Vita!!!
Torna all'inizio della Pagina

Henry
Moderatore

Città: Cervignano del Friuli
Prov.: Udine

Regione: Friuli-Venezia Giulia


1269 Messaggi
Flora e Fauna

Inserito il - 29 settembre 2008 : 17:27:05 Mostra Profilo Apri la Finestra di Tassonomia
Di Piergy

Mandi..!
Torna all'inizio della Pagina

clido
Moderatore


Città: Portici
Prov.: Napoli

Regione: Campania


8977 Messaggi
Flora e Fauna

Inserito il - 29 settembre 2008 : 17:43:56 Mostra Profilo Apri la Finestra di Tassonomia
Messaggio originario di clido:
...

Aggiungo qui il link del post in rilievo di Piergy, a cui fa riferimento Andrea



Chiedo scusa
_________________________
Buona Vita!!!

Modificato da - clido in data 29 settembre 2008 17:44:34
Torna all'inizio della Pagina

Juventino
Utente Super

Città: Nizza

Regione: France


10135 Messaggi
Tutti i Forum

Inserito il - 04 ottobre 2008 : 13:45:01 Mostra Profilo Apri la Finestra di Tassonomia
Grazie mille Clido!!!
Ciao!!!

Link
L’école buissonnière
Torna all'inizio della Pagina

elleelle
Moderatore Trasversale


Città: roma

Regione: Lazio


33322 Messaggi
Flora e Fauna

Inserito il - 06 aprile 2009 : 00:07:14 Mostra Profilo Apri la Finestra di Tassonomia
Anche questa dovrebbe essere Ebrechtella tricuspidata; vero?
Roma. 5-4-2009
luigi

Immagine:
Ebrechtella tricuspidata
248,33 KB



Torna all'inizio della Pagina

Juventino
Utente Super

Città: Nizza

Regione: France


10135 Messaggi
Tutti i Forum

Inserito il - 06 aprile 2009 : 12:14:32 Mostra Profilo Apri la Finestra di Tassonomia
Bellissime!!!
Ciao!!!

Link
L’école buissonnière
Torna all'inizio della Pagina

Henry
Moderatore

Città: Cervignano del Friuli
Prov.: Udine

Regione: Friuli-Venezia Giulia


1269 Messaggi
Flora e Fauna

Inserito il - 06 aprile 2009 : 20:36:44 Mostra Profilo Apri la Finestra di Tassonomia
Sì, direi che è lei

Mandi..!
Torna all'inizio della Pagina
  Discussione Precedente Discussione Discussione Successiva  
 Nuova Discussione
 Versione Stampabile my nm Leggi più tardi
Scorciatoia






Natura Mediterraneo © 2003-2024 Natura Mediterraneo Torna all'inizio della Pagina
Questa pagina è stata generata in 0,87 secondi. TargatoNA.it | Movie BackStage | Snitz Forums 2000

Leps.it | Herp.it | Lynkos.net