testata Forum Natura Mediterraneo
Forum | Registrati | Msg attivi | Msg Recenti | Msg Pvt | Utenti | Galleria | Map | Gadgets | Cerca | | FAQ | Regole |NUOVA Tassonomia | Pagina Facebook di Natura Mediterraneo | Google+
Suggerimento: Come inserire i video di Youtube nel Forum Clicca qui!
Cerca
Salva
Password dimenticata

 Galleria Tassonomica
 di Natura Mediterraneo
 



 Tutti i Forum
 Forum Micologico Natura Mediterraneo
   ASCOMYCETES
 Ascomycetes da determinare
 Scutellinia
 Nuova Discussione
 Versione Stampabile my nm Leggi più tardi
I seguenti utenti stanno leggendo questo Forum Qui c'è:
Autore Discussione Precedente Discussione Discussione Successiva  

ul cast
Utente Senior

Città: Albizzate
Prov.: Varese

Regione: Lombardia


2980 Messaggi
Tutti i Forum

Inserito il - 09 maggio 2012 : 22:52:40 Mostra Profilo  Apri la Finestra di Tassonomia

Saluti a tutti
raccolta a Besnate,(prov.Varese),su di un cumulo di ramaglie in un bosco misto di latifoglie il 2 maggio scorso; gli apoteci si sono sviluppati all'apice di un rametto di circa 5 mm di diametro.
Le foto misurano circa mm 7x5:


Immagine:
Scutellinia
205,44 KB
Immagine:
Scutellinia
230,38 KB
Immagine:
Scutellinia
250,75 KB

ora il pc sta elaborando le foto della microscopia e magari tra un po'riesco a pubblicarle

kolinhar
Utente V.I.P.


Città: Cornaredo
Prov.: Milano

Regione: Lombardia


268 Messaggi
Tutti i Forum

Inserito il - 10 maggio 2012 : 09:55:59 Mostra Profilo Apri la Finestra di Tassonomia
Uno splendore!!!


ciao
Torna all'inizio della Pagina

ul cast
Utente Senior

Città: Albizzate
Prov.: Varese

Regione: Lombardia


2980 Messaggi
Tutti i Forum

Inserito il - 12 maggio 2012 : 22:12:10 Mostra Profilo Apri la Finestra di Tassonomia
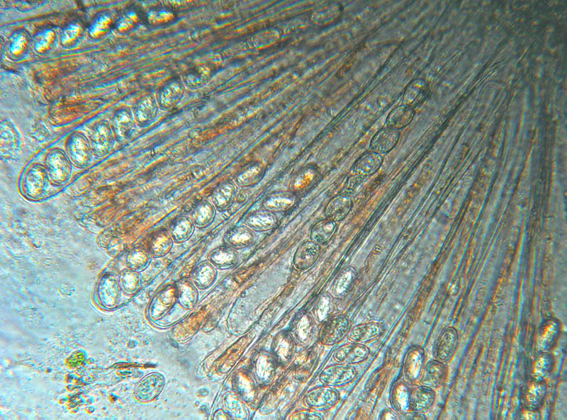
Le prime due sono a 100x e 400x in acqua:


Immagine:
Scutellinia
203,45 KB
Immagine:
Scutellinia
216,25 KB

in Melzer a 400x e 1000x:


Immagine:
Scutellinia
242,66 KB
Immagine:
Scutellinia
215,5 KB
Immagine:
Scutellinia
227,34 KB
Immagine:
Scutellinia
219,24 KB
Torna all'inizio della Pagina

Giancarlo Medici
Moderatore

Città: Sassuolo


13712 Messaggi
Tutti i Forum

Inserito il - 29 maggio 2012 : 19:11:41 Mostra Profilo Apri la Finestra di Tassonomia
Ciao Fabrizio, sarebbe importante vedere anche i peli; soprattutto la base. e avere la lunghezza di quelli più lunghi.
Fra le candidate più probabili metterei crinita e scutellata che hanno spore inferiori ai 20 µm. Tuttavia, anche per le spore sarebbe necessario misurarle al di fuori del asco

Ciao
Giancarlo M.

Torna all'inizio della Pagina

ul cast
Utente Senior

Città: Albizzate
Prov.: Varese

Regione: Lombardia


2980 Messaggi
Tutti i Forum

Inserito il - 30 maggio 2012 : 18:34:15 Mostra Profilo Apri la Finestra di Tassonomia
Ciao Giancarlo
non sono sicuro che la Scutellinia sia ancora recuperabile, ma proverò a vedere nella scatola dove l'avevo parcheggiata...

Torna all'inizio della Pagina

giancarlo
Moderatore

Città: Perugia
Prov.: Perugia

Regione: Umbria


3025 Messaggi
Micologia

Inserito il - 12 giugno 2012 : 19:28:57 Mostra Profilo Apri la Finestra di Tassonomia
Ciao

importanti sono come dice il mio omonimo la lunghazza dei peli

un saluto

complimenti per le belle foto e la microscopia

Torna all'inizio della Pagina
  Discussione Precedente Discussione Discussione Successiva  
 Nuova Discussione
 Versione Stampabile my nm Leggi più tardi
Scorciatoia






Natura Mediterraneo © 2003-2024 Natura Mediterraneo Torna all'inizio della Pagina
Questa pagina è stata generata in 0,44 secondi. TargatoNA.it | Movie BackStage | Snitz Forums 2000

Leps.it | Herp.it | Lynkos.net