testata Forum Natura Mediterraneo
Forum | Registrati | Msg attivi | Msg Recenti | Msg Pvt | Utenti | Galleria | Map | Gadgets | Cerca | | FAQ | Regole |NUOVA Tassonomia | Pagina Facebook di Natura Mediterraneo | Google+
Suggerimento: L'iscrizione al nostro Forum è gratuita e permette di accedere a tutte le discussioni.
Cerca
Salva
Password dimenticata

 Galleria Tassonomica
 di Natura Mediterraneo
 


Nota! La determinazione degli insetti necessita quasi sempre di un'indicazione geografica e temporale precisa.
Invitiamo quindi gli utenti ad inserire questi dati ogni volta che viene richiesta una determinazione o viene postata una foto di un insetto. I dati forniti dagli utenti ci consentiranno anche di attribuire un valore scientifico alle segnalazioni, contribuendo a migliorare e integrare le attuali conoscenze sulla distribuzione delle specie postate.


 Tutti i Forum
 Forum Animali - Natura Mediterraneo
   INSETTI
 Lepidoptera
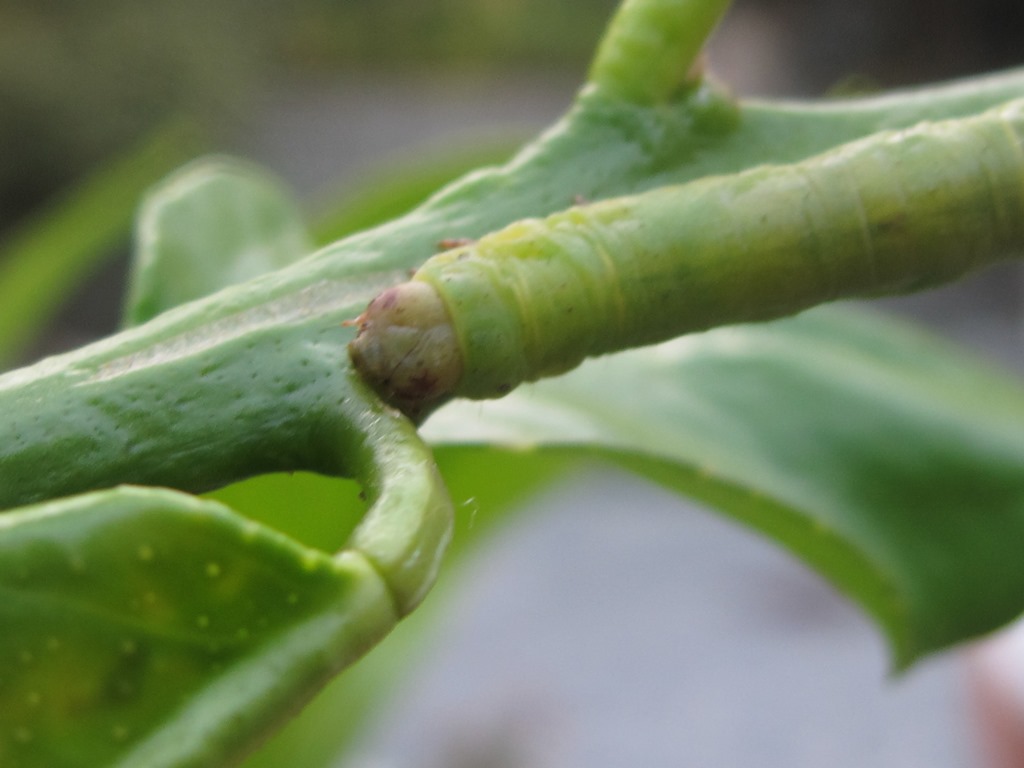
 Bruco di Geometridae
 Nuova Discussione
 Versione Stampabile my nm Leggi più tardi
I seguenti utenti stanno leggendo questo Forum Qui c'è:
Autore Discussione Precedente Discussione Discussione Successiva  

nocino
Utente Senior

Città: Acquapendente
Prov.: Viterbo

Regione: Lazio


4317 Messaggi
Tutti i Forum

Inserito il - 07 ottobre 2015 : 15:55:34 Mostra Profilo  Apri la Finestra di Tassonomia

Ritrovato a fine luglio su pianta di limone, misurava sui 4cm, zona Acquapendente (VT), mi scuso per le foto pessime...

Immagine:
Bruco di Geometridae
118,44 KB

Immagine:
Bruco di Geometridae
159,24 KB

Immagine:
Bruco di Geometridae
112,38 KB

Luca

Modificato da - Andromeda in Data 12 ottobre 2015 22:48:14

nocino
Utente Senior

Città: Acquapendente
Prov.: Viterbo

Regione: Lazio


4317 Messaggi
Tutti i Forum

Inserito il - 09 ottobre 2015 : 08:33:42 Mostra Profilo Apri la Finestra di Tassonomia
porto su

Luca
Torna all'inizio della Pagina

Andromeda
Moderatore


Città: Viadana
Prov.: Mantova

Regione: Lombardia


12520 Messaggi
Tutti i Forum

Inserito il - 12 ottobre 2015 : 22:49:16 Mostra Profilo Apri la Finestra di Tassonomia
Credo che andare oltre la Famiglia sia proprio difficile


Tiziana

"Osservare le farfalle è gioia pura: ...è un'attività che, se non sconfigge il tempo, almeno lo sospende, tutto il resto intorno si scolora e rimane solo l'attimo che stiamo vivendo."
Vladimir Nabokov
Torna all'inizio della Pagina
  Discussione Precedente Discussione Discussione Successiva  
 Nuova Discussione
 Versione Stampabile my nm Leggi più tardi
Scorciatoia






Natura Mediterraneo © 2003-2024 Natura Mediterraneo Torna all'inizio della Pagina
Questa pagina è stata generata in 0,25 secondi. TargatoNA.it | Movie BackStage | Snitz Forums 2000

Leps.it | Herp.it | Lynkos.net